En vedette
Dernières nouvelles
Reportage sur l'islamisme: enquête ouverte après des menaces de mort contre la journaliste de M6 Ophélie Meunier
Une enquête a été ouverte pour menaces de mort contre la journaliste de "Zone interdite" sur M6 Ophélie Meunier, placée sous protection policière après avoir été menacée à la suite d'un reportage sur l'islamisme, a-t-on appris lundi auprès du parquet de Nanterre sollicité par l’AFP.
Procès Lelandais: à la barre, la soeur de Maëlys tente en vain de faire craquer l'accusé
"Avez-vous violé ma soeur ?" "Quels ont été ses derniers mots ?" La soeur de Maëlys, 16 ans, a vigoureusement pris à partie lundi Nordahl Lelandais, jugé pour le meurtre de sa cadette, lors de son procès aux assises.
Retour en prison pour Patrick Balkany condamné pour fraude fiscale
L'ancien maire LR de Levallois-Perret (Hauts-de-Seine) Patrick Balkany, qui avait effectué cinq mois de détention pour fraude fiscale avant d'être libéré pour raison de santé, est retourné en prison lundi après de multiples manquements à ses obligations.
Manifestations anti-mesures sanitaires: impasse à Ottawa, le maire réclame un modérateur
Modérateur, état d'urgence, recours en justice: la situation se tendait lundi dans la capitale canadienne Ottawa occupée depuis dix jours par des camionneurs qui dénoncent les mesures sanitaires imposées par le Premier ministre Justin Trudeau, resté en retrait de la crise jusqu'ici.
Cyclone à Madagascar: 20 morts, rizières détruites, crise humanitaire redoutée
Le cyclone tropical Batsirai a quitté Madagascar lundi en épargnant les principales villes mais laisse dans son sillage des dizaines de milliers de sinistrés, vingt morts et le "grenier à riz" du centre du pays ravagé, faisant redouter à l'ONU une aggravation de la crise humanitaire.
Maroc: après cinq jours de drame, le petit Rayan inhumé dans son village
Après un drame humain qui a ému le monde pendant cinq jours, le petit Rayan, l'enfant marocain mort après être tombé au fond d'un puits, a été enterré lundi près de son village, dans une région déshéritée du nord du royaume.
Patrick Balkany retourne en prison pour fraude fiscale
L'ancien maire LR de Levallois-Perret (Hauts-de-Seine) Patrick Balkany, qui a effectué cinq mois de prison pour fraude fiscale avant d'être libéré pour raison de santé, doit retourner en prison lundi après de multiples manquements à ses obligations.
Fraude fiscale: Patrick Balkany va être incarcéré lundi à Fleury-Mérogis
L'ancien maire LR de Levallois-Perret (Hauts-de-Seine) Patrick Balkany, condamné pour fraude fiscale, "va être incarcéré" lundi à la prison de Fleury-Mérogis (Essonne) après la révocation de son bracelet électronique, a annoncé la procureure de la République d'Evreux.
Cyclone Batsirai: 20 morts et des rizières dévastées à Madagascar
Le cyclone Batsirai a quitté Madagascar lundi matin sans toucher les principales villes, après avoir fait 20 morts selon un dernier bilan des autorités.
Incendie d'un navire pétrolier au Nigeria: 3 rescapés, 7 portés disparus
Trois membres de l'équipage d'un navire pétrolier ayant pris feu et coulé la semaine dernière au large du Nigeria ont été retrouvés vivants, les sept autres étant toujours portés disparus, a déclaré l'entreprise propriétaire du navire.
Dans le Queens à New York, un tour du monde culinaire
De l'arepa colombienne aux soupes tibétaines, faire le tour du monde est possible dans le Queens, à New York. Cet arrondissement, dernière étape pour des milliers d'immigrants, offre un parcours culinaire sans frontières aux voyageurs et aux résidents de la "Grosse pomme".
Cyclisme: Bernal sort de la clinique pour une "renaissance"
Le cycliste colombien Egan Bernal, gravement blessé le 24 janvier dans un accident lors d'une sortie d'entraînement près de Bogota, est sorti dimanche de la clinique où il a été soigné pendant deux semaines et opéré plusieurs fois.
Cyclisme: Bernal sort de la clinique, deux semaines après son accident
Le cycliste colombien Egan Bernal, gravement blessé le 24 janvier dans un accident lors d'une sortie d'entraînement près de Bogota, est sorti dimanche de la clinique où il a été soigné pendant deux semaines et opéré plusieurs fois.
Sous le choc, le Maroc et le monde pleurent le petit Rayan
Le Maroc pleure dimanche la mort du petit Rayan, coincé pendant cinq jours au fond d'un puits dans une région pauvre du nord du royaume, un drame humain amplifié par les réseaux sociaux qui a suscité une avalanche d'émotions dans le monde entier.
Le Maroc sous le choc après le décès du petit Rayan
Le Maroc était sous le choc dimanche, au lendemain de la découverte du corps sans vie du petit Rayan, tombé accidentellement dans un puits en début de semaine, et retrouvé mort malgré cinq jours d'efforts acharnés des sauveteurs, suivis dans le monde entier.
Le petit Rayan, tombé dans un puits au Maroc, est mort
Le petit Rayan tombé accidentellement dans un puits dans le nord du Maroc est mort malgré les efforts acharnés des sauveteurs déployés depuis cinq jours pour extraire cet enfant de cinq ans dont le sort a ému tout le royaume et bien au-delà.
Nouvelles manifestations contre les mesures sanitaires au Canada
Ottawa, Toronto, Québec: les opposants aux mesures sanitaires au Canada, dont certains occupent le centre-ville de la capitale fédérale depuis une semaine, ont commencé à se rassembler samedi pour réclamer la levée des restrictions.
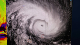
Le cyclone Batsirai, "menace très sérieuse", sur le point d'atteindre Madagascar
"Menace très sérieuse pour la zone", le cyclone Batsirai devrait atteindre l'est de Madagascar samedi soir, avec des vents annoncés à plus de 200 km/h sur la grande île de l'océan Indien où les habitants essaient de s'abriter avec les moyens du bord.
Au Maroc, les sauveteurs entrent dans le tunnel pour extraire Rayan
Les secouristes sont entrés samedi après-midi dans le tunnel qui conduit à la poche où se trouve le petit Rayan, 5 ans, qu'ils espèrent retrouver vivant cinq jours après sa chute dans un puits profond au Maroc.
Au Maroc, les sauveteurs tentent le tout pour le tout pour sauver le petit Rayan
Chants et prières de la foule accompagnent samedi les derniers efforts des secouristes marocains qui tentent le tout pour le tout pour sauver le petit Rayan, un enfant de cinq ans tombé dans un puits profond, il y a cinq jours, qu'ils espèrent toujours retrouver vivant.
La vaccination anti-Covid pour tous, désormais une réalité en Autriche
C'est officiel: les Autrichiens de plus de 18 ans doivent dorénavant se faire vacciner contre le Covid-19 sous peine d'encourir une forte amende, une mesure sans précédent dans l'Union européenne.
Covid: la vaccination pour tous, désormais une réalité en Autriche
C'est officiel: les Autrichiens de plus de 18 ans doivent à partir de samedi se faire vacciner contre le Covid-19, sous peine d'encourir une forte amende, une mesure sans précédent dans l'Union européenne.
Le cyclone Batsirai, "menace très sérieuse", approche de Madagascar
"Menace très sérieuse pour la zone", le cyclone Batsirai devrait atteindre l'est de Madagascar samedi, avec des vents annoncés à plus de 200 km/h sur la grande île de l'Océan indien où les habitants se préparent à son arrivée avec les moyens du bord.
Assassinat du président haïtien: le Colombien inculpé aux Etats-Unis plaide non-coupable (avocat)
Le militaire colombien à la retraite inculpé aux Etats-Unis pour sa participation présumée à l'assassinat du président haïtien , a plaidé non coupable des crimes qui lui sont reprochés, a annoncé son avocat vendredi à Miami.
Valeurs actuelles et Causeur jugés pour diffamation envers le réalisateur Ladj Ly
Les magazines Causeur et Valeurs Actuelles ont-ils diffamé le cinéaste Ladj Ly ? Le tribunal judiciaire de Paris a examiné la question vendredi sans la présence à la barre du réalisateur des "Misérables".
Inondations à Quito : le bilan s'alourdit à 27 morts et 53 blessés
Les inondations qui ont frappé Quito en début de semaine ont fait au moins 27 morts et 53 blessés, ont annoncé vendredi les autorités qui recherchaient encore deux personnes portées disparues.
Le procès Lelandais se penche sur les agressions sexuelles de petites-cousines
"Dégoût et colère": le procès aux assises de Nordahl Lelandais aborde vendredi le volet des agressions sexuelles de deux petites-cousines de l'accusé avec le témoignage des parents d'une des victimes.
Reportage sur l'islamisme: vague de soutiens après les menaces contre la journaliste Ophélie Meunier
Au nom de la liberté d'informer et sept ans après l'attentat contre Charlie Hebdo, de nombreux médias et associations de journalistes ont soutenu cette semaine l'animatrice de "Zone interdite" Ophélie Meunier, sous protection policière après des menaces pour un reportage sur l'islamisme.
Cambriolages: Haouas pilier du XV de France de rugby solde un passé difficile
Titulaire quasi indiscutable avec l'équipe de France de rugby, Mohamed Haouas, 27 ans, a été condamné vendredi à 18 mois de prison avec sursis pour son implication dans des cambriolages il y a huit ans. Un passé difficile qu'il a donc enfin soldé.
Maroc: 4e jour d'opérations pour sauver un garçon tombé dans un puits
Les secouristes s'activent vendredi, pour le quatrième jour consécutif, dans l'espoir d'extraire vivant le petit Rayan, un garçonnet de cinq ans tombé dans un puits profond d'un village au Maroc et dont le sort suscite une vague de solidarité à travers le royaume.
Russie: une journaliste spécialiste de la Tchétchénie quitte le pays
Une journaliste du journal indépendant Novaïa Gazeta, spécialiste de la Tchétchénie, a quitté la Russie après des menaces émises par le dirigeant de cette république du Caucase russe, en pleine controverse, a annoncé son média vendredi.
Au Maroc, l'opération pour sauver le petit Rayan se poursuit
Les secouristes s'activent vendredi, pour le quatrième jour consécutif, dans l'espoir d'extraire vivant le petit Rayan, un garçonnet de cinq ans tombé dans un puits profond d'un village du nord du Maroc, le royaume retenant son souffle.